[OSEN=이대호 인턴기자] '추추트레인' 추신수(29, 클리블랜드 인디언스)의 해결사 본능이 깨어나고 있다. 추신수는 21일(이하 한국시간) 미국 클리블랜드 프로그레시브필드에서 벌어진 콜로라도 로키스와의 경기서 5번 타자 우익수로 선발 출장해 4타수 1안타 2타점
2009년 10월부터 시작된 ‘이과수 취급점’은 청호나이스 정수기, 공기청정기, 비데, 연수기, 제습기 등의 렌탈과 사업을 투자없이 시작할 수 있는 사업이다.이과수 취급점은 시작한지 1년 8개월 만에 1,700개가 넘는 취급점을 개설해 점주들에게 각광을 받기도 했는데,
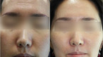
전체적인 이미지를 결정짓는데 가장 큰 영향을 미치는 부위는 얼굴형, 즉 안면윤곽이다. 아무리 오목조목하고 예쁜 이목구비를 가졌다 해도 주걱턱이나 사각턱, 혹은 광대뼈가 심하게 발달했다면 누구에게나 호감을 주는 외모가 되기는 쉽지 않다. 하지만 작고 갸름하면
라식수술이 보편화 됨에 따라 라식수술 안전장치인 라식보증서에 대한 관심도 높아지고 있다. ‘라식보증서’는 라식수술 시 만에 하나 발생할 수 있는 부작용으로부터 보다 안전하게 보호받고, 수술 후에도 의료진의 적극적인 진료와 관심을 유도하는 제도적 장치라고
mini 포토 콘테스트가 열린다. 6월 13일~ 7월 10일까지 열리는 mini콘테스트는 mini라는 얼음정수기 신제품 출시 기념으로 제품 사진을 찍어 올리면 참여가 가능한 사진 콘테스트이다.mini는 청호나이스가 내놓은 신제품 얼음정수기로 작은 사이즈임에
단기간 고득점 노리는 토익, 토익스피킹, 오픽 끝짱 강좌 인기청년 취업시장에 다가오는 장마전선보다 더욱 짙은 먹구름이 드리웠다. 통계청 조사에 의하면 전체 실업률은 연초에 비해 1% 이상 하락하며 3%대에 진입했지만 청년실업률은 8%후반의 고공행진이 계속되고
[OSEN=이혜진 기자] 배우 이병헌이 할리우드 스타들에게 꿈의 스튜디오로 불리는 ‘스튜디오 아르쿠르’에서 동양 남자배우 최초로 사진촬영을 해 화제가 되고 있다.이병헌은 5월 중순 할리우드 유명 배우와 프랑스 유명인사만을 촬영 해온 ‘스튜디오 아르쿠르’에
-보양 온천수 천천향 스파와 짜릿한 물놀이를 동시에연일 30도를 웃도는 찜통 더위가 계속되면서 국내 유명 워터파크 간 전쟁이 본격 시작됐다. 연간 입장객 150만 명이 넘는 캐리비안 베이를 비롯한 전국의 워터파크들은 올 여름 저마다의 새로운 시설과 서비스로 야심
- 베테랑일수록 자세 나빠지는 운전자들… 관절, 척추 건강엔 해로워- 다리 꼬고, 한 손 운전, 거북 목 자세 등은 척추 건강 위협할 수 있어- 헐렁한 안전벨트는 사고 위험 높이고, 하이힐 운전은 퇴행성 관절염 유발 직장인 P씨 (36세, 여)는 운전
[OSEN=최나영 기자] 애프터스쿨 유이 솔로곡 ‘쏙쏙쏙’ 음원이 공개됐다.쏙쏙쏙'은 심현보 작사, 작곡으로 기존의 '사랑스럽기'만 했던 러브송에서 탈피하여 밝고 신나는 멜로디에, 아기자기한 감성의 가사까지 더해져 올 여름 유이만의 색다른 '달콤 발랄'을 선보
[OSEN=장창환 인턴기자] 스토리온이 상금 1억 원을 건 예비 부부들의 치열한 서바이벌 과정을 담은 '세기의 커플'을 방송한다. '세기의 커플'(10부작)은 예비 부부들이 10주에 걸쳐 결혼 생활을 미리 체험해볼 수 있는 다양한 미션을 수행하며 최고의 커플
-LG SMART 3D 블루레이 플레이어 체험단 발족LG전자는 지난 6월 16일 LG SMART 3D 블루레이 플레이어 체험단을 발족했다. 영향력 있는 파워블로거 15명을 선정해 2개월 간 진행 될 이 체험단은 제품을 직접 사용하면서 제품 정보와 사용기를 작성하게
[OSEN=황민국 기자] 수원 삼성이 부진 탈출을 위해 코칭스태프 보직에 변화를 줬다.수원은 21일 최근 일신상의 이유로 사의를 표명한 노경환 수석코치 대신 고종수 매탄고 코치를 1군 트레이너로 보직을 전환시켰다고 밝혔다.수원은 윤성효 감독이 직접 선수들을 훈
[뷰티 칼럼] 피지가 많이 생성되어 나타나는 왕비호, 개기름은 여성에서도 문제가 많이 되지만 중년 남성쯤 되면 사람의 담백한 모습을 빼았아 가버리고 느끼한 느낌을 주는 원흉이다. 또 청소년기에 남성호르몬의 분비가 활성화되어 나타나는 여드름의 주요 원인도 피
[OSEN=최나영 기자] 산다라박이 자신이 속한 걸그룹 2NE1의 새 싱글 '내가 제일 잘나가'를 기다리는 팬들을 위한 특별 이벤트를 준비했다. 21일과 22일 양일간 진행되는 이번 이벤트는 일명 '박부장의 MP3 PLAYER를 찾아라!'. 
[OSEN=이명주 기자] 3인조 보컬 그룹 에이트가 작곡가 방시혁과 결별한 사실이 뒤늦게 알려지면서 그 배경에 관심이 쏠리고 있다. 에이트는 21일 두 번째 미니앨범 ‘8eight’를 발매했다. 첫 미니앨범 ‘더 브리지(The Bridge)’ 이후 1년
[OSEN=이혜진 기자] 영화 ‘고지전’의 이제훈이 동안 얼굴에 초콜릿 복근으로 충무로 ‘베이글 남’으로 떠올랐다.이제훈은 ‘JSA공동경비구역’의 박상연 작가와 충무로 기대주 장훈 감독의 만남으로 기대를 모으고 있는 작품 ‘고지전’에서 20살의 어린 중대
탤런트 박원숙 씨가 경남 남해에 ‘카페베네’ 매장을 개장한다. 경남 남해에 전원주택을 지어 거주하면서 자연스레 그 곳의 지역 문화를 살리는데 앞장서고 있는 탤런트 박원숙 씨. 그가 경남 남해군 삼동면 동천리 원예마을에 오는 24일 ‘카페베네’의 문을
[OSEN=황미현 인턴기자] 그룹 티아라의 멤버 은정이 화보 촬영 현장을 공개했다.은정은 21일 자신의 트위터에 “지금은 용인 보정동에서 의류 브랜드 가을화보 촬영 중입니다아. 덥지만 여기 예쁘고 자전거도 너무 좋아”라는 글과 자신의 사진 두 장을 게재했다.사
[OSEN=황미현 인턴기자] 연기자 공효진이 MBC ‘최고의 사랑’ 마지막 촬영을 하며 연기자 임지규와 다정하게 찍은 사진을 공개했다.공효진은 지난 20일 자신의 미투데이에 “석이씨(임지규)랑 마지막 촬영이에요. 또 만나요 우리. 최고의 사랑은 앤딩을 향해 달
프로미스나인 이채영, 사랑스러워
레드벨벳 조이, 힘차게 시구
있지 유나, 섹시한 시구
오드유스 써머, 핫팬츠 아찔 시구
장원영, 인간 체리 워뇨 (full) [O! STAR]
LG 차영현 치어리더, 팀장님의 아찔한 사복패션 공연 [O! SPORTS 숏폼]
‘케데헌’ 이재, “골든 저작권료? 엄마 선물 사드릴 듯”[O! STAR 숏폼]
안지현 치어리더, 압도하는 '뱅뱅' 공연 [O! SPORTS 숏폼]
LG 승요 강림 있지 유나, 시구 자체가 화보 컷 [O! SPORTS 숏폼]